La “terrorífica” imagen del huracán Matthew tomada desde el espacio
La imagen se volvió viral en las redes sociales

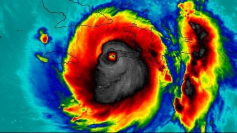
Algunos ven en esta imagen del huracán Matthew una calavera. Crédito: NASA
El huracán Matthew es el más poderoso del Atlántico en casi una década.
La enorme tormenta, que ahora se dirige hacia Florida (EEUU) impactó en Haití, República Dominicana y Cuba con al menos 9 víctimas fatales, numerosos daños materiales e inundaciones.
Pero no solo las consecuencias de Matthew son aterradoras, sino también algunas de las imágenes satelitales del huracán proporcionadas por la Agencia Espacial de EEUU (NASA, por sus siglas en inglés).
Matthew, huracán “extremadamente peligroso” sube a categoría 4, sigue hacia Florida
Una de esas imágenes que ha llamado la atención del público es una que muestra el paso de Matthew pasa por Haití, en la que algunos ven la forma de una calavera.
La fotografía, que se hizo viral en las redes sociales y fue calificada de “terrorífica”, muestra la tormenta en colores que destacan el ojo del huracán y nubes que parecen ser los dientes de un cráneo.
En Twitter varios usuarios compararon a Matthew con el personaje de historieta de Marvel “El Vengador fantasma” (Ghost Rider).
Aumenta a 108 muertos en Haití tras paso de huracán Matthew
Solo que Matthew, lamentablemente, no tiene nada de personaje de ficción y en estos momentos tiene en alerta al surteste de EEUU.