El huracán Milton cobra fuerza de nuevo y regresa a Categoría 5
El huracán Milton recuperó fuerza de categoría 5 el martes en la tarde y se esperan marejadas ciclónicas destructivas, vientos y lluvias torrenciales en Florida
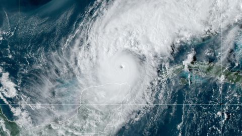
Vista del huracán Milton el 8 de octubre de 2024, a 480 millas de Tampa en Florida, a las 4 p.m. CDT Crédito: CIRA/NOAA | Cortesía
El huracán Milton ha vuelto a adquirir fuerza y ha alcanzado la categoría 5.
La tormenta sigue representando un grave peligro para Florida, donde su impacto, potencialmente histórico, provocará marejadas ciclónicas destructivas y potencialmente mortales, daños generalizados por el viento, inundaciones y tornados a partir del miércoles.
“Milton tiene el potencial de ser uno de los huracanes más destructivos registrados en el centro-oeste de Florida”, dijo el Centro Nacional de Huracanes (NHC) en su pronóstico del martes por la noche.
Las autoridades han reafirmado que todos los preparativos deben completarse el martes y, quienes se encuentren en una zona propensa a marejadas ciclónicas deben evacuar si se le ordena.
Esta es una situación grave y el NHC pronostica una marejada ciclónica de hasta 10 a 15 pies sobre el nivel del suelo a lo largo de la costa oeste de Florida, incluida la zona de la Bahía de Tampa, si la marejada máxima causada por el huracán ocurre durante la marea alta.
El centro del huracán está a 440 millas al suroeste de Tampa. Es de categoría 5 y presenta vientos de 165 mph a las 8 p.m. EDT y se desplaza en dirección este-noreste a 10 mph.

Milton ha crecido en tamaño durante las últimas 24 horas, con vientos con fuerza de tormenta tropical que ahora alcanzan hasta 140 millas desde su centro. Seguirá creciendo aún más a medida que se acerque a Florida, lo que significa que sus impactos afectarán una gran área.
Según la trayectoria pronosticada por el NHC, el centro de Milton se moverá hoy y mañana a través del este del Golfo de México y “tocará tierra a lo largo de la costa centro-oeste de Florida el miércoles por la noche”, para luego cruzar la península y salir al Atlántico.
Si bien se esperan fluctuaciones en la intensidad, se pronostica que Milton “seguirá siendo un peligroso huracán mayor cuando desembarque en la costa oeste central” y salga el jueves a aguas del Atlántico, advirtieron.
Las advertencias de huracán cubren gran parte del centro de Florida, desde el lado del Golfo hasta el lado del Atlántico, incluida la zona de la Bahía de Tampa, Fort Myers, Orlando, Cabo Cañaveral y Daytona Beach.

Esto significa que se esperan condiciones de huracán (vientos sostenidos de 74 mph o más) dentro del área bajo advertencia generalmente dentro de las 36 horas, o en este caso a partir de la tarde del miércoles hasta la madrugada del jueves.
Preocupa mucho la marejada ciclónica que puede causar Milton en la bahía de Tampa, de entre 10 y 15 pies de altura (de 3 a 4,5 metros). Los vientos con fuerza de tormenta tropical podrían llegar a la zona de la bahía de Tampa tan pronto como el miércoles por la mañana.
Se esperan también “vientos devastadores” a lo largo de partes de la costa oeste de Florida, donde un aviso de huracán está en efecto. La previsión de los meteorólogos del NHC es que Milton “permanezca como huracán a medida que cruza la península de Florida”.
Insistieron en destacar la importancia de que “los preparativos para proteger la vida y la propiedad” deben completarse como muy tarde esta noche, además de estar listos para “cortes de energía de larga duración”.
Las fuertes lluvias que arrojará Milton a través de la península floridana hasta el jueves conllevarán “el riesgo de inundaciones repentinas y urbanas catastróficas”, especialmente en áreas donde las inundaciones costeras y terrestres se combinan.
El presidente de Estados Unidos, Joe Biden, advirtió este martes que el huracán Milton podría ser el “peor” en golpear el estado de Florida en un siglo y pidió a las personas que se encuentran en la trayectoria de la tormenta que evacúen lo antes posible.
Por su parte, el gobernador de Florida, Ron DeSantis, dijo esta tarde en una rueda de prensa que a los residentes les queda un corto espacio de tiempo para ejecutar sus planes de evacuación, antes de que el huracán Milton toque tierra probablemente este miércoles por la noche.
“Deberían estar ejecutando su plan ahora. Si van a salir, salgan ahora”, instó DeSantis a la población residente en las zonas más expuestas al embate de Milton.
Florida, que aún intenta recuperarse de los daños del huracán Helene, continúa preparándose para la mayor evacuación desde 2017 ante la amenaza de Milton, que atravesará casi todo el estado de oeste a este.
Sigue leyendo:
• DeSantis urge a evacuar antes del arribo del huracán Milton a Florida
• “Si se quedan, van a morir”: la emergencia en Florida ante la llegada del peligroso huracán Milton
• ¿A qué hora tocará tierra el huracán Milton en Florida?